美军|明明是一场胜仗,却成了美军陆战队的伤心往事,残酷的塔拉瓦之战( 二 )
后来柴崎惠次先后参与了丰予要塞,下关要塞和由良要塞的翻修扩建工作,其中下关要塞并不是一座要塞那么简单,而是日本九州整个要塞群的统称,所以参加了这么一系列要塞防御建造工作的柴崎惠次,可以说就是一名海军防御工程专家。
文章插图
加上他还阅读过日本驻德武官送回来的德军要塞攻坚战报告,其中塞瓦斯托波尔要塞之战引起了柴崎惠次的极大兴趣,他仔细的研究过攻守双方的一系列部署。所以日本海军送他去塔拉瓦的目的很明确,那就是要将这里打造成坚不可摧的要塞,让美军整整齐齐的躺在滩头上。
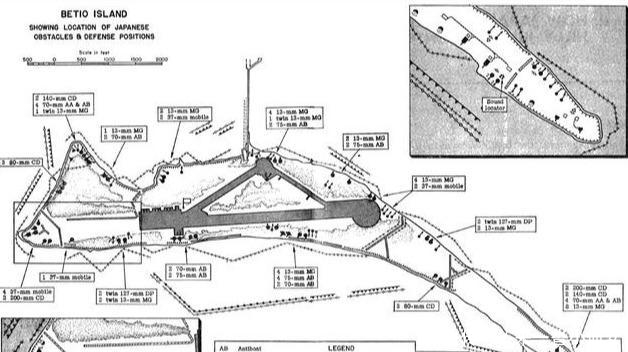
柴崎惠次一上任就做出了大刀阔斧的防御改动,首先他认为想要守住塔瓦拉环礁岛的24个小岛是不可能的,日军在这里的兵力有限,如果撒豆子的话,很容易就被美军逐个击破。所以他干脆舍弃了绝大部分毫无价值的岛屿,将防御核心定在了塔瓦拉的主岛“贝蒂欧岛”。
文章插图
柴崎惠次将分散守小岛的日军全部集中在了贝蒂欧岛上,凑出来了一支拥有1260余人的工兵大队,在算上第四舰队海军工兵大队的970人,再算上后来的横须贺第六陆战队和佐世保第七陆战队,人数也有2500人左右,拼凑起来也有近4800人了。
文章插图
不过这座贝蒂欧岛也不大,长度也就不到四公里,最宽处还不到1公里,缺乏战略纵深,可以说易攻难守。为了加强岛屿的防御能力,日军在岛上修筑了一座机场,机场跑道一共三条,一主二辅,主跑道长1.2公里,可供战斗机,轰炸机和侦察机,运输机起降。此外为了获取更多的物资和为舰队提供补给,日军还在这里修建了一座简易但足够大的码头,以供运输船舶靠岸装卸货物。
文章插图
由于岛屿大小的限制,实际上码头和机场修建的非常紧凑,码头位于岛屿的北部,而机场则与其相连,但这座机场的跑道几乎占据了岛屿大部分地区,主跑道位于岛屿南部靠近滩头地区,由于道路开阔平整目标明显,滩头的一些灌木丛根本无法起到任何掩护作用。
但反过来,滩头也同样开阔,没有任何遮蔽物,所以柴崎惠次在考察之后认为只要沿着岛屿南部部署一些钢筋混凝土碉堡和地堡,就能够起到封锁滩头的作用。同样的岛屿东部地区不但狭长,而且严重缺乏防御纵深,所以柴崎惠次将主要防御方向定位了岛屿北部和西部地区。
- 儿子|历史揭秘:看看武则天和慈禧的儿子是什么样
- 赵匡胤|赵匡胤为什么传位于兄弟, 而不是儿子
- 贾谊:汉文帝格外重视,27岁跃升高级官员,为何还是抑郁而终?
- 官员宿娼,如果犯到朱元璋手里,会是什么惨痛下场?
- 《康熙王朝》中,那两道最关键的匿名奏折是谁上的?
- 唯一不被西方认可的中国王朝,已延续471年,国号是中国人代名词
- 曹操重金赎回蔡文姬,为何将她嫁给没文化庄稼汉?专家:不是下嫁
- 宋钦宗|本是抗金名臣李纲,为何世人却评价他是灭亡宋朝的推手?
- 古代将军为何不是八块腹肌,反而个个啤酒肚,这才是军官真实样子
- 朱棣的历史功绩有哪些?
